Cook Islands
Das Mallorca der Neuseeländer
Eigentlich wollten wir nach Vanuatu. Der Flug hätte jedoch nicht nur ein
Vermögen gekostet, wir hätten noch dazu ein paar Tage Aufenthalt auf
Fiji gehabt, um einen Anschlussflug zu bekommen. Das war uns dann doch des
Reisens zu viel, also haben wir uns für die Cook Islands entschieden.
Leider sind die Inseln total in der Hand der Neuseeländer, was nicht
wirklich ein Vorteil ist. Aber davon haben wir uns die Laune nicht verderben
lassen. Immerhin sind wir ja jetzt schon etwas "Südsee"-erfahren und wissen,
wo wir suchen müssen ;-)
Die Leute
Die Leute auf den Cook Islands waren weder herausragend freundlich noch
unfreundlich. Man merkt jedoch sehr stark, dass die Einheimischen hier, im
Gegensatz zu Tonga, sehr auf Tourismus eingestellt und fixiert sind. Und so
richtig charakteristische Einheimische wie auf Tonga gab es deshalb kaum.
Ebenfalls bemerkenswert war, dass die überwiegende Anzahl der Betreiber von
Hotels und Restaurants aus Neuseeland kam. Ob das jetzt gut oder schlecht ist,
darüber kann man streiten. Wir fanden es nicht so toll.
Das Essen
Die kulinarischen Köstlichkeiten waren relativ vergleichbar mit denen in
Neuseeland. Pizza, Burger und Sandwich, Nudeln, lieblos zubereiteter Fisch
oder mal ein Stück Fleisch. Der Wein kam aus Neuseeland und war ebenso
gnadenlos überteuert wie das Essen. Abends zu zweit einfach eine Pizza essen
gehen, nichts besonderes, kostet dann durchaus mal 50 EUR (nein, wir
übertreiben wirklich nicht!).
Wie gesagt, das Mallorca der Neuseeländer ;-(
Das Land - Der Strand - Südsee-Insel-Feeling?
Die Suche nach der Südsee geht weiter ...
Auf Aitutaki gibt es einen Strand, der "zum Schwimmen geeignet ist" ... und das
ist er auch ... zum Schwimmen geeignet. Mehr aber auch nicht. Will sagen: es sind
keine Korallen am Strand, so dass man ins Wasser gehen kann und es ist
ausreichend tief, dass man schwimmen kann. Das ist aber schon alles. Besonders
schön war der Strand nicht :-(
Aber wie wir wissen, muss man die Südsee-Strände ja abseits auf den
kleinen Inselchen - den motus - der Lagune suchen. Und diesmal haben wir sie auch
gleich gefunden ;-)
Rarotonga hatte Strand-mäßig auch nicht sonderlich viel zu bieten, dafür hat uns die Welt unter Wasser umso mehr begeistert; einfach fantastisch ;-)
Das Wetter
Auf den Cook Islands war es deutlich kühler als auf Tonga. Öfters war
der Himmel bewölkt, ab und zu hat es auch geregnet. Lange Hose und Pulli
waren auch tagsüber oft angesagt; abends sogar eine dicke Jacke. Wenn
tagsüber die Sonne gescheint hat, konnte man jedoch gut am Strand liegen.
Das Wasser hätten wir uns in der Südsee allerdings deutlich wärmer
vorgestellt ... brrrr ;-(
Die Inseln
Die Insel Aitutaki
Aitutaki hat, laut unserem Reiseführer, eine der schönsten Lagunen der Südsee. Um das zu verstehen, mussten wir erstmal sehen, wie so eine Insel mit Lagune aussieht. Deshalb hier eine kleine Karte - das Hellblaue ist die Lagune ;-)
Die Strände auf der Hauptinsel waren eher weniger beeindruckend; die kleinen Inselchen - motu genannt - innerhalb der Lagune dafür aber umso mehr ...
![]()
Die Insel Rarotonga
Rarotonga besteht, im Gegensatz zu Aitutaki, aus einer großen runden Insel. Um die Insel herum ist auch sowas wie eine Lagune mit ein paar kleineren 'motus', jedoch ist die Lagune nicht mit der von Aitutaki zu vergleichen. Auch hierfür ein kleines Anschauungsbild ;-)
![]()
Und nun wie immer ein paar Bilder ;-)
Unser Privatstrand
Tonga hat uns bereits gelehrt, dass man aufs Wasser muss, um die richtigen
Südsee-Strände zu finden. Auf Aitutaki, einer kleinen Insel im Norden
der Cook Islands, haben wir uns also gleich mal zwei Kajaks gemietet und sind
losgerudert; das dritte 'Motu'-Inselchen links in der Lagune, da haben wir
"unseren" Strand gefunden ;-)
Die Lagune von Aitutaki
Auf diesem Bild sieht man recht gut, dass das Wasser innerhalb der Lagune sehr
seicht ist. Man kann z.B. von einer Insel zu nächsten laufen, das Wasser
reicht einem die meiste Zeit nur bis zur Hüfte. Eigentlich bräuchte man
gar kein Kajak; aber wie soll man denn dann seine Badematte und das Picknick
transportieren???

Honeymoon Island
Ob wir vielleicht nochmal heiraten könnten ??? ;-)
Rote Einsiedler-Krebschen
Wie schon auf Tonga sind die schönsten Muscheln leider alle bewohnt ;-( Hier
auf den Cook Islands sind die kleinen Krebschen lustigerweise alle knallrot,
sozusagen krebsrot. Lustig sind vor allem die schwarzen Stilaugen, mit denen sie
einen anschauen. ;-)
Das Riff
Ausserhalb der Lagune, Richtung Riff und offenes Meer, brandet der Pazifik mit
hohen Wellen gegen die Lagune. Dazwischen (die dunklen Flecken) befinden sich
kleine Korallenbänke mit Fischen in fantastischen Farben. Und sogar eine
Schildkröte ist zwischen unseren Kajaks durchgeschwommen ....
Fisch-Fütterung
Begibt man sich unter Wasser, so haut einen die Menge an kunterbunten Fischen
schlichtweg um. Und sie süßen Fischlein sind sogar sehr zutraulich;
nimmt man ein Stück Brot mit ins Wasser, kommen sie zu Dutzenden
angeschwommen ... leider erwischen sie nicht immer das Brot, sondern auch mal den
Finger ;-)
Bunter Fisch
Irre Farben, oder? Besser als jedes Aquarium ;-)
Noch bunterer Fisch
Man glaubt es kaum, aber es geht noch bunter ;-) ... der
Picasso-Drückerfisch (heißt tatsächlich so).
Lila Seeigel
Was soll man sagen? Einfach bunt ;-)
Riesen-Muschel
Im Südpazifik gibt es Riesen-Muscheln. Dort, wo wir geschnorchelt sind, gibt
es Exemplare bis zu einem Meter Länge mit einem Gewicht von ca. 80
Kilogramm. Echt riesig.
Wenn man hinuntertaucht und sie innen anfasst, dann schnappen die richtig schnell
zu. Angeblich gibt es an anderen Stellen noch größere; die
Größte je Gefundene soll die Größe eine VW Käfers
gehabt haben ... da möchte ich die Hand nicht drinstecken haben, wenn die
zuschnappt ;-)
Rarotonga
Rarotonga, die Hauptinsel der Cook Islands, ist ganz anders als Aitutaki.
Aitutaki war durchwegs flach mit der riesigen Lagune in der Mitte. Rarotonga ist
eine große runde Insel, die in der Mitte ganz beachtliche Hügelchen
hat, die noch dazu dicht bewachsen sind. Die Strände sind ok, aber nicht
berauschenden. Aber das macht nichts, denn wir wissen ja, dass wir in der
Südsee auf und unters Wasser müssen ... auf Rarotonga haben wir
letztere Variante bevorzugt ;-) ... und wir wären am liebsten gar nicht mehr
aus dem Wasser raus gekommen.
Die Unterwasserwelt ist unbeschreiblich ...
... weiß-braune Aale ...
... bunte Fische und braune Muränen (rechts im Bild) ...
... lange dünne Fische ...
... braun-weiß getupfte Kofferfische ...
... blau-gelbe Kofferfische ...
... super-bunte Riesenmuscheln ...
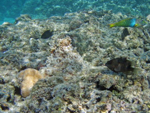
... und ? Ja, was eigentlich?
Hier auf dem Bild gibt es etwas wirklich Seltenes zu sehen ... wir meinen aber
weder den bunten noch den schwarzen Fisch ... "er" sitzt genau in der Mitte des
Bildes ;-) ... seht ihr "ihn" etwa nicht?
Auflösung: Der Oktopus ;-)
